МИНСК, 7 сен — Sputnik. Число жертв урагана "Ирма" на французских заморских территориях Сен-Бартелеми и Сен-Мартен возросло до 8, еще 23 человека пострадали, заявил министр внутренних дел страны Жерар Колон.
Французские территории подсчитывают урон
"В настоящее время число погибших (на двух островах) составило 8 человек, еще 23 пострадали. Это число может увеличиться", — заявил министр внутренних дел страны Жерар Колон французским СМИ.
Ураган может достичь берегов Флориды к выходным. "Ирма" уже успела нанести значительный ущерб французским заморским территориям Сен-Мартен и Сен-Бартелеми. Практически все они остались без электричества.
Сообщается о наводнении и разрушении части префектуры Сен-Мартен и имущества жителей, в частности, ветер снес кровли домов.
Президент Франции Эммануэль Макрон заявил о том, что посетит пострадавшие от урагана "Ирма" заморские территории, как только это станет возможно по погодным условиям.
Куба и Доминикана эвакуируются
Накануне "Ирма" похозяйничала на острове Барбуда — он стал практически непригоден для жизни. Премьер-министр островного государства Антигуа и Барбуда заявил, что восстановление займет годы.
Власти Доминиканской республики объявили обязательную эвакуацию в районах, где был объявлен наивысший "красный" уровень тревоги из-за урагана "Ирма". Эвакуация является обязательной для всех, в районы, где пройдет "Ирма", направлены автобусы. Количество людей, эвакуированных на данный момент, не приводится. Местные власти сообщили о том, что подготовили более 3,2 тысячи оборудованных укрытий, который могут вместить порядка 900 тысяч человек.
Примерно 900 тысяч человек остались без света и в Пуэрто-Рико.
Госдепартамент США в среду разрешил сотрудникам американского правительства на добровольной основе покидать Кубу в связи с приближением урагана "Ирма". В нем содержится рекомендация американским гражданам "тщательно пересмотреть поездки на Кубу в связи с ураганом "Ирма", который, как предполагается, затронет" эту страну. Как указывается, "этот ураган может принести сильные дожди и мощные ветры, в результате которых могут случиться опасные для жизни наводнения, сели и штормовые волны". Подчеркивается вероятность перебоев в транспортном сообщении по всей стране.
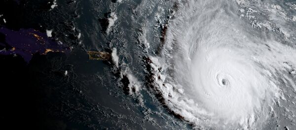
Ураган "Ирма" уже достиг пятой, максимальной категории, его называют самым мощным ураганом в Атлантике как минимум за последнее десятилетие. Специалисты считают, что он сильнее урагана "Харви", который в конце августа обрушился на побережье Техаса и привел к катастрофическому наводнению.



